Verkoopgeschiedenis
- Aangeboden sinds
- 24 juli 2020
Omschrijving
Hierbij verstrekken wij u, geheel vrijblijvend, informatie over een goed onderhouden perceel cultuurgrond gelegen nabij de Gijsselterweg en Echtenseweg te Ruinen.
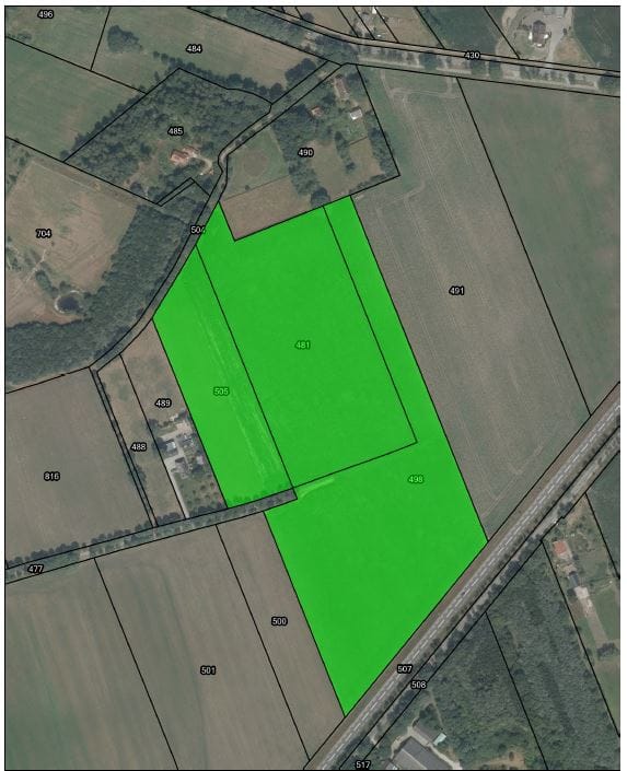
Oppervlakte:
07.35.32 ha.
Ligging:
Nabij de Gijsselterweg en Echtenseweg te Ruinen, de beste ontsluiting is via de Keuterkampweg naar de Echtenseweg. Er is tevens een recht van weg naar de Gijsselterweg.
Omschrijving:
Het betreft een goed onderhouden perceel zandgrond die op bodemkaarten wordt aangeduid als veldpodzolgrond met plaatselijk leem in de ondergrond. Verkoper heeft de grond vooral gebruikt voor de teelt van maïs en een klein deel voor de teelt van gras.
Kadastrale aanduiding:
Gemeente: Ruinen
Sectie L
Nummer 481 02.75.60 ha.
Nummer 498 03.32.81 ha.
Nummer 505 01.26.91 ha.
Totaal 07.35.32 ha.
Natuur en Landschapsdoelen:
Het gebied waar de grond is gelegen kent geen bijzondere natuur en landschapsdoelen. Wel is het perceel aangeduid op de ‘waterkaart’ van het natuurbeheerplan 2020.
Omgevingsvisie Drenthe:
De landerijen liggen in functiegebied "Landbouwgebied" van Omgevingsvisie Drenthe.
Leveringsrechten:
Met de verkoop worden tevens een passend aantal betalingsrechten mee overgedragen. De waarde van de betalingsrechten zijn bij de vraagprijs inbegrepen.
Waterschapslasten :
Op te vragen via
Ruilverkavelingsrente:
€ 174,33, eindjaar 2021
Overige bijzonderheden:
• Het perceel heeft een agrarische bestemming met waarde archeologie (gemeente De Wolden)
• Er is een zakelijk recht van toepassing
• Er zijn erfdienstbaarheden bekend
• 2 x een kettingbeding van toepassing i.v.m. vrijstelling overdrachtsbelasting.
Vraagprijs inclusief betalingsrechten:
Op aanvraag kosten koper
Voor nadere inlichtingen kunt u zich wenden tot: de heer E. (Erik) Brink.
Tijdens kantooruren: Schelhaas Makelaardij B.V., Hoogeveen.
Tel. 0528-264007. Mobiel: 06-54353827.
Voor een meer informatie omtrent ons grond aanbod verwijzen wij u naar onze website
Oppervlakte:
07.35.32 ha.
Ligging:
Nabij de Gijsselterweg en Echtenseweg te Ruinen, de beste ontsluiting is via de Keuterkampweg naar de Echtenseweg. Er is tevens een recht van weg naar de Gijsselterweg.
Omschrijving:
Het betreft een goed onderhouden perceel zandgrond die op bodemkaarten wordt aangeduid als veldpodzolgrond met plaatselijk leem in de ondergrond. Verkoper heeft de grond vooral gebruikt voor de teelt van maïs en een klein deel voor de teelt van gras.
Kadastrale aanduiding:
Gemeente: Ruinen
Sectie L
Nummer 481 02.75.60 ha.
Nummer 498 03.32.81 ha.
Nummer 505 01.26.91 ha.
Totaal 07.35.32 ha.
Natuur en Landschapsdoelen:
Het gebied waar de grond is gelegen kent geen bijzondere natuur en landschapsdoelen. Wel is het perceel aangeduid op de ‘waterkaart’ van het natuurbeheerplan 2020.
Omgevingsvisie Drenthe:
De landerijen liggen in functiegebied "Landbouwgebied" van Omgevingsvisie Drenthe.
Leveringsrechten:
Met de verkoop worden tevens een passend aantal betalingsrechten mee overgedragen. De waarde van de betalingsrechten zijn bij de vraagprijs inbegrepen.
Waterschapslasten :
Op te vragen via
Ruilverkavelingsrente:
€ 174,33, eindjaar 2021
Overige bijzonderheden:
• Het perceel heeft een agrarische bestemming met waarde archeologie (gemeente De Wolden)
• Er is een zakelijk recht van toepassing
• Er zijn erfdienstbaarheden bekend
• 2 x een kettingbeding van toepassing i.v.m. vrijstelling overdrachtsbelasting.
Vraagprijs inclusief betalingsrechten:
Op aanvraag kosten koper
Voor nadere inlichtingen kunt u zich wenden tot: de heer E. (Erik) Brink.
Tijdens kantooruren: Schelhaas Makelaardij B.V., Hoogeveen.
Tel. 0528-264007. Mobiel: 06-54353827.
Voor een meer informatie omtrent ons grond aanbod verwijzen wij u naar onze website
Betrokken makelaar
Kaart
Kaart laden...
Kadastrale grens
Bebouwing
Reistijd
Krijg inzicht in de bereikbaarheid van dit object vanuit bijvoorbeeld een openbaar vervoer station of vanuit een adres.